Property Details
Property Details
Property Details
11942 Allegheny, Sun Valley, CA 91352
$5,290,000 LOGIN TO SAVE
11942 Allegheny, Sun Valley, CA 91352
Bedrooms:
Bathrooms:
Area: SqFt.
Description
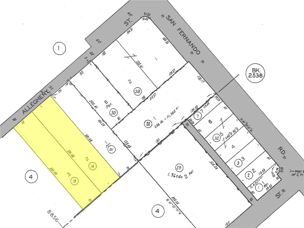
The subject property is a 1.14 acre industrial yard located at 11942-11950 Allegheny Street in the city of Sun Valley. This site is composed of two individual parcels of land with APNs #2631-003-014 & 015. The site is located on Allegheny Street just a block south of San Fernando Road and less than a mile north of the I-5 freeway. The site is currently leased out to Best Trucking Services Inc. who has been a tenant since 2018. The term of their existing lease expires in February of 2028 at which time they will have one single remaining 5-year option. Best Trucking is currently paying $0.29 per square foot for the land at this time (gross lease), however the 5-year option lease rate will be at Prevailing Market Rates which is going to be an increase if they decide to stay. There are two small houses on the property which can be used as offices. The houses are 1,150 square feet and 720 square feet and they were built in 1947. There is also a newer 900 square foot structure on site that is used as a garage. This property is flat and rectangular in shape with 150 of frontage along Allegheny Street and a depth of 331'. The site is fully fenced and has two gated entry points along Allegheny Street. Zoning on this site is [T][Q] M1-1-CUGU which is a Limited Industrial zoning classification. The General Plan Land Use is Limited Manufacturing. Height District 1 in the M1 zone allows for a FAR of 1.5:1 and does not indicate a height limit. The subject property is surrounded by industrial buildings to the north and to the east along with several small to mid-sized multifamily building
Features
Listing provided courtesy of Matthew Wenzel of Marcus & Millichap. Last updated . Listing information © 2025 Sandicor.
Work with Us
Under the Compass brand, Ramon and his team take great pride in having the ability to utilize today's cutting edge technology, marketing resources, and local and global connections to perfectly unite extraordinary places with the extraordinary buyers who will cherish them as we do.
Contact Us
North County Office
12275 El Camino Real, Suite 100
San Diego, CA 92130
858.345.4514
La Jolla Office
7863 Girard Avenue, Suite 208
La Jolla, CA, 92037
858.277.3325
San Diego Office
655 W Broadway
San Diego, CA 92101
619.317.1875

This information is deemed reliable but not guaranteed. You should rely on this information only to decide whether or not to further investigate a particular property. BEFORE MAKING ANY OTHER DECISION, YOU SHOULD PERSONALLY INVESTIGATE THE FACTS (e.g. square footage and lot size) with the assistance of an appropriate professional. You may use this information only to identify properties you may be interested in investigating further. All uses except for personal, non-commercial use in accordance with the foregoing purpose are prohibited. Redistribution or copying of this information, any photographs or video tours is strictly prohibited. This information is derived from the Internet Data Exchange (IDX) service provided by Sandicor®. Displayed property listings may be held by a brokerage firm other than the broker and/or agent responsible for this display. The information and any photographs and video tours and the compilation from which they are derived is protected by copyright. Compilation © 2025 Sandicor®, Inc.
Copyright © 2025 Maldonado Team. All Rights Reserved.
Powered by: 

This information is deemed reliable but not guaranteed. You should rely on this information only to decide whether or not to further investigate a particular property. BEFORE MAKING ANY OTHER DECISION, YOU SHOULD PERSONALLY INVESTIGATE THE FACTS (e.g. square footage and lot size) with the assistance of an appropriate professional. You may use this information only to identify properties you may be interested in investigating further. All uses except for personal, non-commercial use in accordance with the foregoing purpose are prohibited. Redistribution or copying of this information, any photographs or video tours is strictly prohibited. This information is derived from the Internet Data Exchange (IDX) service provided by Sandicor®. Displayed property listings may be held by a brokerage firm other than the broker and/or agent responsible for this display. The information and any photographs and video tours and the compilation from which they are derived is protected by copyright. Compilation © 2025 Sandicor®, Inc.
Copyright © 2025 Maldonado Team. All Rights Reserved.
Powered by: 















